- 딱정벌레목 /하늘소과
- 노랑줄점하늘소 Epiglenea comes Bates
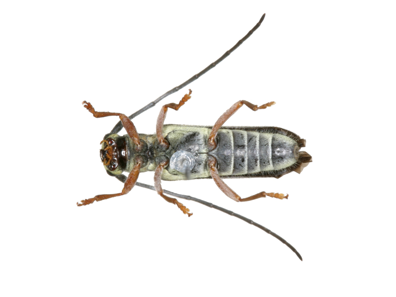
| 특징 | 몸의 길이는 8~11mm이다. 몸은 검정색 바탕에 황색 세로줄 무늬와 점이 있다. | ||
|---|---|---|---|
| 분포 | 한국(북부·중부), 일본, 중국, 시베리아 | ||
| 생태 | 성충은 산가의 관목의 꽃들에서 관찰된다. 기록에 의하면 호두나무의 잎줄기를 갉아먹는다고 하며, 애벌레는 호두나무의 말라죽은 줄기속에서 사는 것으로 알려져 있다. | ||
| 출현시기 | 5~7월 | 서식지 | 숲(활엽수림) |
| 관련식물 | |||

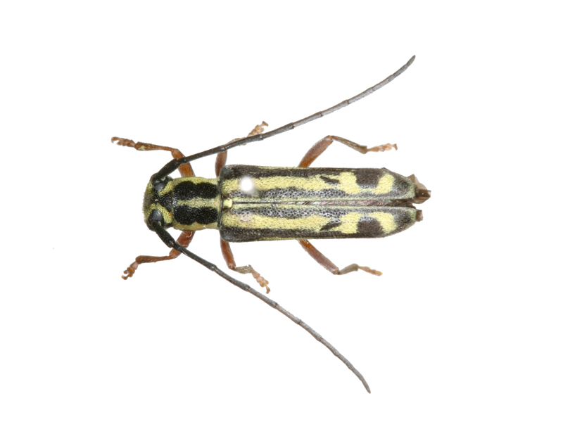
| 특징 | 몸의 길이는 8~11mm이다. 몸은 검정색 바탕에 황색 세로줄 무늬와 점이 있다. | ||
|---|---|---|---|
| 분포 | 한국(북부·중부), 일본, 중국, 시베리아 | ||
| 생태 | 성충은 산가의 관목의 꽃들에서 관찰된다. 기록에 의하면 호두나무의 잎줄기를 갉아먹는다고 하며, 애벌레는 호두나무의 말라죽은 줄기속에서 사는 것으로 알려져 있다. | ||
| 출현시기 | 5~7월 | 서식지 | 숲(활엽수림) |
| 관련식물 | |||