- 딱정벌레목 /하늘소과
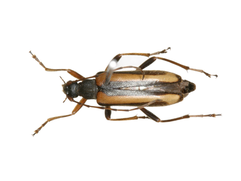
- 줄각시하늘소 Pidonia gibbicolis (Blessig)
| 특징 | 몸의 길이는 8~13mm이다. 몸은 검정색이고, 더듬이는 황갈색을 띤다. 딱지날개는 황갈색 바탕에 옆가장자리와 날개의 결합부가 검정색의 세로띠를 이룬다. 다리는 황갈색을 띠는데 뒷다리의 허벅마디는 검정색이다. | ||
|---|---|---|---|
| 분포 | 한국(북부·중부·남부), 일본, 중국, 만주, 우수리, 시베리아 | ||
| 생태 | 국수나무, 신나무 등의 여러 야생화를 즐겨 찾으며 여러 꽃하늘소무리들과 섞여있는 경우가 많다. 이들의 자세한 생태는 밝혀져 있지 않다. | ||
| 출현시기 | 5~7월 | 서식지 | 숲가장자리 |
| 관련식물 | |||




